조황관리HOME / 조황관리 / 상세정보

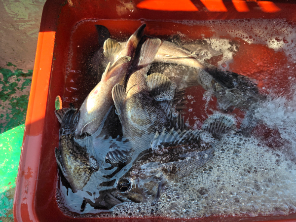
제목 : 평택항 에이스피싱 8월1일조항
등록일 : 2025-08-01






















































*** 평택항 에이스피싱호 예약 안내 ***


예약문의 : 010-3711-7657

오시는길 : 경기도 평택시 포승읍 서동대로 783 대교낚시

홈페이지 : https://acefishing.sunsang24.com/


모바일.jpg 


Top